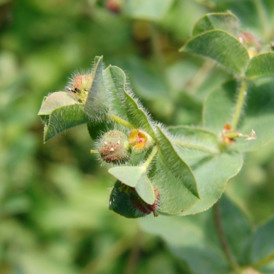
Euphorbia hirsuta
Euforbiàcies
VEGEU MÉS IMATGES / 
IL·LUSTRACIONS
Hivern
Primavera
Estiu
Tardor
Des.
Gen.
Feb.
Mar.
Abr.
Mai.
Jun.
Jul.
Ago.
Set.
Oct.
Nov.
DADES GENERALS:
Tipus de fitxa
ESPÈCIE
Codi del tàxon:
VTax1764
Nom científic:
Euphorbia hirsuta
Nom català:
Lletera de riu, Lletera de séquia, Lleteresa pubescent, Lletrera de séquia, Lletrera d’aigua
Nom castellà:
-
Nom anglès:
-
Nom francès:
Euphorbe hirsute
Nom occità:
-
DESCRIPCIÓ MORFOLÒGICA:
Forma vital :
Hemicriptòfit
Alçada :
3 dm -
10 dm
Subterrani: -
Port: -
Tija/tronc: -
Fulles: -
Flor/inflorescència: -
Fuit/llavor: -
ECOLOGIA:
Substrat:
-
Freqüència:
r
Hàbitat:
Jonqueres, herbassars humits
Altitut :
0 -
700
Naturalitat:
-
Descripció de la naturalitat:
-
Territori fisogràfic:
General, però manca a bona part dels Pirineus i al territoriolositànic
Zones fitogeogràfiques:
Contrades mediterrànies (i estatge montà submediterrani)
Àrees de distribució general :
Mediterrani
Adscripció fitosociològica :
Molinio-Holoschoenion
Molinio-Holoschoenion
GBIF (Global Biodiversity Information Facility). http://gbif.org
TAXONOMIA SÁEZ & AYMERICH: Aquest apartat es troba en fase de desenvolupament
Ordre : -
Família : -
Gènere : -
Espècie : -
Tàxon de rang superior : -
Tàxons de rang inferior : -
Híbrids : -
TAXONOMIA BOLOS & VIGO:
Família : Euforbiàcies
Gènere : Euphorbia
Espècie : Euphorbia hirsuta L.
Tàxon de rang superior :
Euphorbia hirsuta
Tàxons de rang inferior :
-
-
Híbrids :
-
-
SINÒNIMS:
Euphorbia platyphyllos L. subsp. pubescens ( Vahl) Knoche
Euphorbia pubescens Vahl
Euphorbia pubescens Vahl
FITOSOCIOLOGIA / HÀBITAT: Aquest apartat es troba en fase de desenvolupament
Divisió: -
Classe: -
Subclasse: -
Ordre: -
Subordre: -
Aliança: -
Subaliança: -
Associació: -
Subassociacio: -
Variant: -



