Betula pubescens
Betulàcies
VEGEU MÉS IMATGES / 
IL·LUSTRACIONS
Hivern
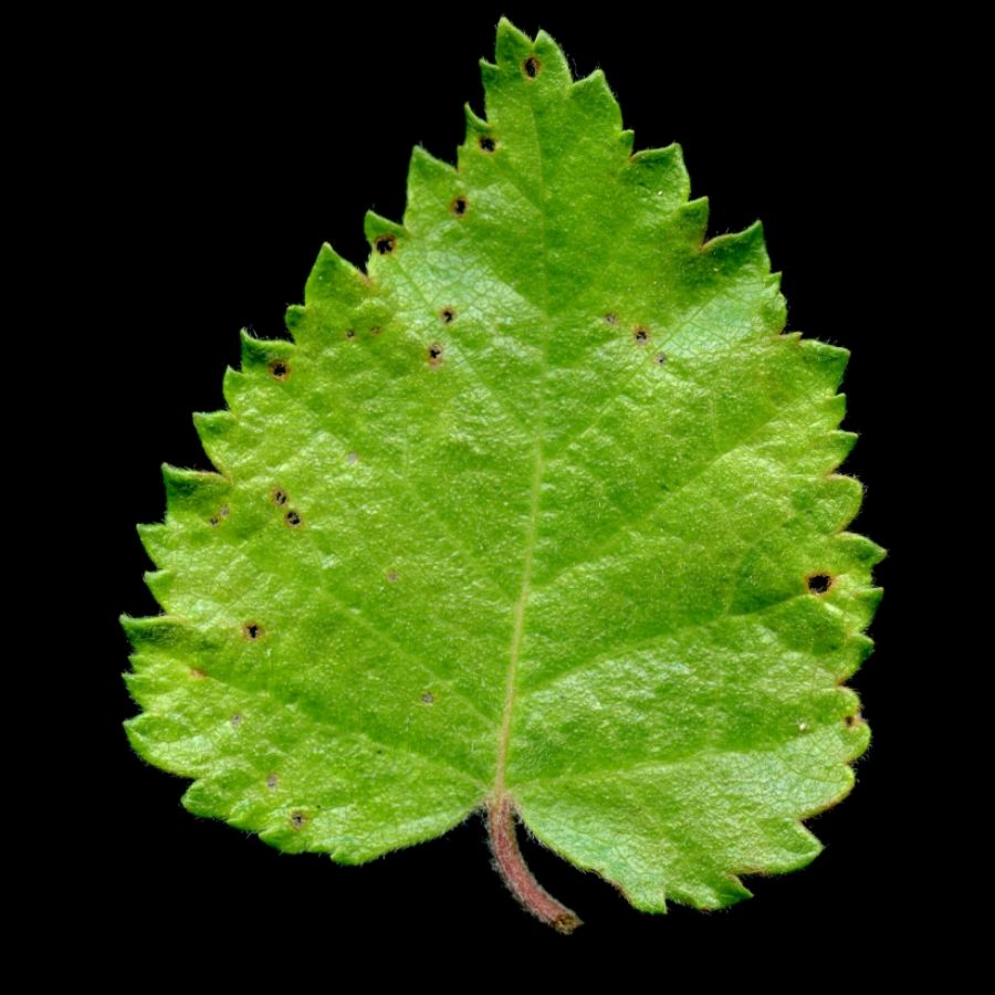
Primavera
Estiu
Tardor
Des.
Gen.
Feb.
Mar.
Abr.
Mai.
Jun.
Jul.
Ago.
Set.
Oct.
Nov.
DADES GENERALS:
Tipus de fitxa
ESPÈCIE
Codi del tàxon:
VTax1646
Nom científic:
Betula pubescens
Nom català:
-
Nom castellà:
-
Nom anglès:
-
Nom francès:
Bouleau blanc, Bouleau pubescent
Nom occità:
-
DESCRIPCIÓ MORFOLÒGICA:
Forma vital :
Macrofaneròfit caducifoli
Alçada :
6 m -
15 m
Subterrani: -
Port: -
Tija/tronc: -
Fulles: -
Flor/inflorescència: -
Fuit/llavor: -
ECOLOGIA:
Substrat:
Silici
Freqüència:
r
Hàbitat:
Boscs clars
Altitut :
1400 -
2200
Naturalitat:
-
Descripció de la naturalitat:
-
Territori fisogràfic:
Pirineus
Zones fitogeogràfiques:
Estatge subalpí
Àrees de distribució general :
Bòreo-subalpí i àrtico-alpí
Adscripció fitosociològica :
Rhododendro-Vaccinion
Rhododendro-Vaccinion
GBIF (Global Biodiversity Information Facility). http://gbif.org
TAXONOMIA SÁEZ & AYMERICH: Aquest apartat es troba en fase de desenvolupament
Ordre : -
Família : -
Gènere : -
Espècie : -
Tàxon de rang superior : -
Tàxons de rang inferior : -
Híbrids : -
TAXONOMIA BOLOS & VIGO:
Família : Betulàcies
Gènere : Betula
Espècie : Betula pubescens Ehrh.
Tàxon de rang superior :
Betula pubescens
Tàxons de rang inferior :
-
-
Híbrids :
-
-
SINÒNIMS:
Betula alba L.
FITOSOCIOLOGIA / HÀBITAT: Aquest apartat es troba en fase de desenvolupament
Divisió: -
Classe: -
Subclasse: -
Ordre: -
Subordre: -
Aliança: -
Subaliança: -
Associació: -
Subassociacio: -
Variant: -



