Peucedanum oreoselinum
Umbel·líferes
VEGEU MÉS IMATGES / 
IL·LUSTRACIONS
Hivern
Primavera
Estiu
Tardor












Des.
Gen.
Feb.
Mar.
Abr.
Mai.
Jun.
Jul.
Ago.
Set.
Oct.
Nov.
DADES GENERALS:
Tipus de fitxa
ESPÈCIE
Codi del tàxon:
VTax1608
Nom científic:
Peucedanum oreoselinum
Nom català:
Comí de marrà, Julivert bord, Julivert de muntanya, Salsufragi de muntanya, Tuixos
Nom castellà:
-
Nom anglès:
-
Nom francès:
Persil de cerf, Persil de montagne, Persil des montagnes, Peucédan des montagnes, Sélin des montagnes
Nom occità:
-
DESCRIPCIÓ MORFOLÒGICA:
Forma vital :
Hemicriptòfit
Alçada :
3 dm -
10 dm
Subterrani: -
Port: -
Tija/tronc: -
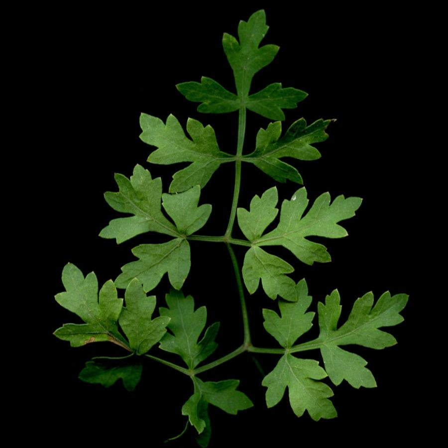
Fulles: -
Flor/inflorescència: -
Fuit/llavor: -
ECOLOGIA:
Substrat:
-
Freqüència:
r
Hàbitat:
Vorada del bosc caducifoli, pastures, etc.
Altitut :
(0)
80 -
1800
Naturalitat:
-
Descripció de la naturalitat:
-
Territori fisogràfic:
Pirineus i territori olositànic, catalanídic N-C i auso-segàrric
Zones fitogeogràfiques:
Estatge montà i contrades mediterrànies plujoses
Àrees de distribució general :
Lateeuro-siberià (medioeuropeu)
Adscripció fitosociològica :
-
GBIF (Global Biodiversity Information Facility). http://gbif.org
TAXONOMIA SÁEZ & AYMERICH: Aquest apartat es troba en fase de desenvolupament
Ordre : -
Família : -
Gènere : -
Espècie : -
Tàxon de rang superior : -
Tàxons de rang inferior : -
Híbrids : -
TAXONOMIA BOLOS & VIGO:
Família : Umbel·líferes
Gènere : Peucedanum
Espècie : Peucedanum oreoselinum (L.) Moench
Tàxon de rang superior :
Peucedanum oreoselinum
Tàxons de rang inferior :
-
-
Híbrids :
-
-
SINÒNIMS:
Oreoselinum nigrum Delarbre
FITOSOCIOLOGIA / HÀBITAT: Aquest apartat es troba en fase de desenvolupament
Divisió: -
Classe: -
Subclasse: -
Ordre: -
Subordre: -
Aliança: -
Subaliança: -
Associació: -
Subassociacio: -
Variant: -